
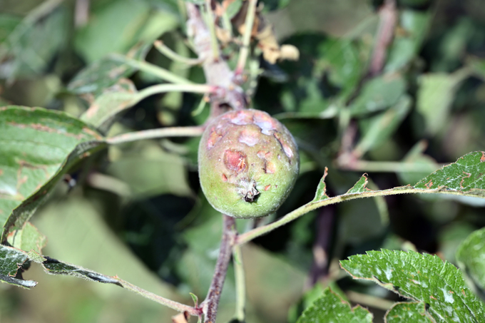
[경남도민뉴스=나희준 기자] 안병구 밀양시장은 지난 5월 29일 오후, 갑작스럽게 내린 우박으로 큰 피해가 발생한 산내면 일대 사과 재배 농가를 직접 방문해 농업인들을 위로하고, 현장의 목소리를 경청하는 시간을 가졌다고 4일 밝혔다.
이번 우박으로 인해 사과 주산지 산내면에는 1,300여 농가(920ha 규모)가 피해를 입은 것으로 잠정 집계됐으며, 특히 용전리 오치마을 등 일부 지역은 올해 수확 자체가 어려울 정도로 피해가 심각한 것으로 파악됐다.
시는 정확한 피해 규모를 파악하기 위해 오는 13일까지 정밀 조사를 실시할 계획이며, 이후 피해 복구와 지원에 적극 나설 예정이다.
안병구 시장은“예기치 못한 자연재해로 농가가 큰 어려움을 겪게 돼 매우 안타깝게 생각한다”라며“피해를 입은 농업인께서는 조속히 읍·면·동 행정복지센터에 피해 신고해 주시길 바라며, 시에서는 신속한 조사와 함께 피해 농업인 지원 방안을 마련하겠다”라고 말했다.
시는 이번 자연재해로 인한 피해 복구와 농가 지원, 농업인들의 빠른 회복을 위해 적극 협력할 예정이다.






























